U splitskom akvatoriju otkriven je antički brodolom, spektakularan nalaz od svjetskog značenja. Slučajno su ga otkrili ronioci splitske Udruge podvodnih aktivnosti “Rostrum”, a svjesni važnosti otkrića do kojega je došlo lani i opasnosti od devastacije nalazišta, donedavno je za to znalo jedva četvero ili petero ljudi, piše Slobodna Dalmacija.
Kako pravila i nalažu, rostrumovci su prijavili otkriće splitskom Konzervatorskom zavodu. Sada je projekt istraživanja pod ingerencijom Ministarstva kulture i medija, a nositelj je Hrvatski pomorski muzej Split.
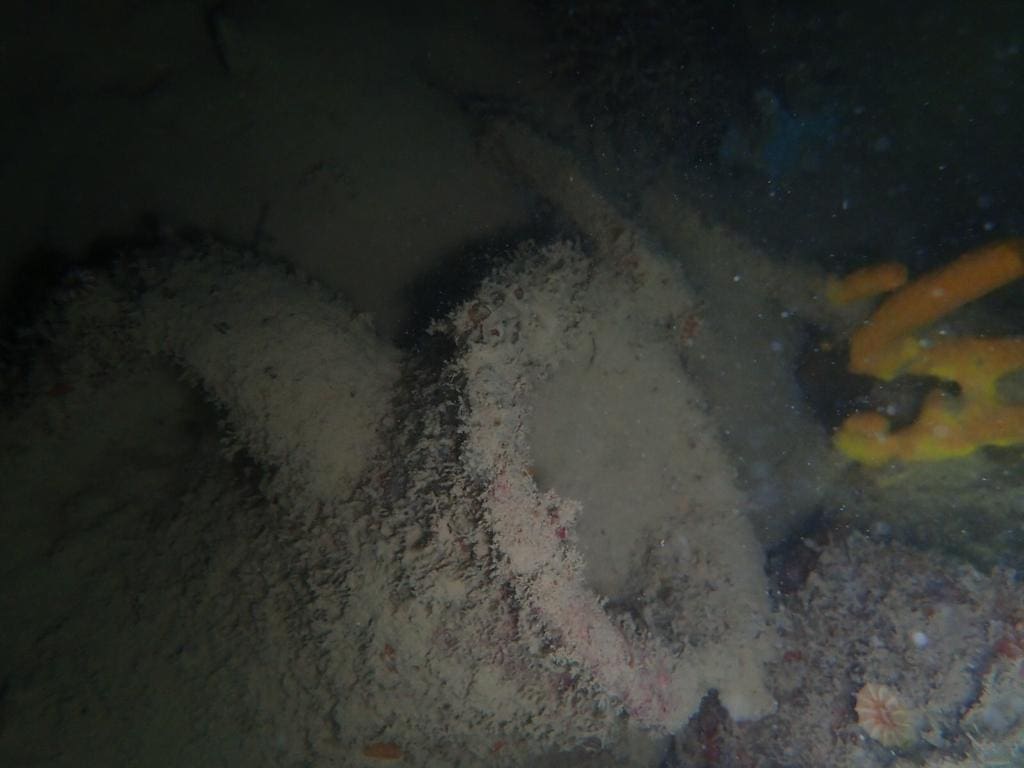
U splitskom akvatoriju ostaci amfora i druge antičke “ambalaže” nisu rijetkost, a mnoga nalazišta su odavno devastirana. Brodolom koji je pronađen netaknut je, prava vremenska kapsula koja je na dnu mirovala možda i dvije tisuće godina, sa stotinama amfora raznih tipova.
Bio je to trgovački brod loše sreće. Teško je nagađati o uzrocima njegova potonuća: možda je u pitanju bila nevera, možda loše raspoređen teret i prekrcanost, možda kakvo oštećenje zbog kojega je more naglo prodrlo u njega.
Kako bilo, brod je očito potonuo naglo i glatko kao kamen. Većina amfora ostala je neoštećena, čak i začepljena, a ima ih mnoštvo, složene su u tri razine. A pod njima mora biti svakakvih nalaza koji su bili dio svakodnevice antičkih pomoraca – od alata do osobnih predmeta i brodske kuhinje.
Istraživanja bi mogla potrajati vrlo dugo, ali već ove godine Pomorski muzej će Splićanima na izložbi prezentirati prve nalaze koji će biti izvađeni s morskog dna, načiniti nacrt broda i njegova sadržaja te održati nekoliko predavanja u kojima će sudjelovati i članovi “Rostruma”.
Potopljeni brod prvi su vidjeli Ivan Živković, Branimir Katavić, Marko Lete i Marko Polić. Poslije je, u suradnji s Konzervatorskim zavodom, učinjen još jedan zaron, snimljen prvi video i nešto fotografija. To je za sada sve.
Ivan Živković, koji je bio prisutan kod prvog zarona, kaže:
– Otkrili smo brod temeljem dojave jednoga ribara koji je posumnjao da bi na dnu moglo biti nešto zanimljivo. Dobijemo dosta takvih informacija i u većini slučajeva ne nađemo ništa, a i sami prilikom brojnih zarona markiramo neke lokacije koje bi trebalo dvaput pregledati...
Ovaj put imali smo nevjerojatnu sreću, malo koji ronilac to u životu dočeka. Zaronili smo “u plavo”, što u ronilačkoj terminologiji znači zaron s broda u more, a ne s kraja; prije toga bacili smo sidro i spuštali se niz konopac. Dubina je velika, a vidljivost nula.
I onda, na dnu, prijeđemo baterijskim svjetlom uokolo. Pet amfora oko nogu. Pedeset. Malo dalje – barem pet stotina. S čepovima i žigovima. Uglavnom netaknute, kao “iz dućana” – govori Živković.
– Eto, jednu smo mi malo oštetili. Kad smo se sidrili, sidro nam je upalo ravno u amforu – napominje Marko Polić.
– To vam je kao da svakoga dana obrađujete vrt, a onda jednom nabasate na zakopano blago. Ali more samo odlučuje kada će odati svoje tajne – dodaje Milivoj Andrić.
Ravnatelj Pomorskog muzeja Ljubomir Radić potvrđuje kako je nalaz izniman, tek drugi ovakvoga tipa u Jadranu. Donekle sličan brodolom pronađen je samo na Šćedru, a i u čitavom Mediteranu rijetko se otkrije ovakvo što.
– O važnosti govori i činjenica da je ovo jedini podmorski arheološki projekt koji je ove godine dobio potporu Ministarstva kulture i medija za istraživanje. Posao vodi naš muzej jer Udruga “Rostrum” za to nema ovlasti, ali s njima već otprije surađujemo i bit će nam potpora u poslu.
Ostatak razgovora pročitajte OVDJE.




