Već nekoliko dana nad središnjim Atlantikom jača uragan Lorenzo. U četvrtak 26. rujna Lorenzo je postao uragan četvrte kategorije s najjačim vjetrovima stalne brzine od 233 km/h i tlakom od 932 mb. Lorenzo je tu snagu postigao nad središnjim Atlantikom, na 42 zapadnom meridijanu. Time je postao (i po brzini vjetra i po tlaku) najjači uragan formiran tako istočno na Atlantiku.

Tako snažan uragan je zahvatio francuski brod Bourbon Rhode. Brod je, u valovima i do 20 metara potonuo. Tegljaču dugom 60 metara u olujnom nevremenu najprije su stali motori, a zatim je u stražnji dio broda počela prodirati voda. Bio je na putu od Las Palmasa prema Georgetownu u Gvajani.
HRT u nedjelju ujutro javlja da na Atlantiku traje akcija spašavanja posade. Kapetan broda bio je Hrvat. Trojica članova posade pronađena su u čamcu za spašavanje, a nastavlja se potraga za preostalih 11. Kompanija Bourbon Marine & Logistics priopćila je kako je osnovan krizni stožer i timovi koji će obavještavati obitelji pomoraca. Osim francuskih, u pomoć su priskočile i američke spasilačke ekipe, a u potrazi sudjeluju svi brodovi u blizini.
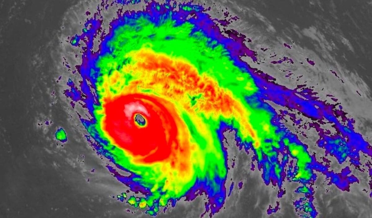
Tijekom petka Lorenzo je postao uragan treće kategorije i očekivalo se da će se trend postupnog slabljenja nastaviti i tijekom vikenda. Međutim, suprotno prognozama tijekom subote je došlo do nove faze tzv. rapidnog jačanja uragana i Lorenzo je postao uragan najviše, pete kategorije jakosti. Američki Nacionalni centar za uragane je u nedjelju (3:00 UTC vrijeme) objavio da je Lorenzo uragan pete kategorije s najjačim vjetrovima od 260 km/h. Tlak u središtu uragana je 925 mb, javlja Crometeo.
U izvješću od 9:00 UTC Lorenzo je s vjetrovima od 250 km/h klasificiran kao uragan četvrte kategorije (odnosno na granici s CAT 5).

Središte uragana se nalazi na poziciji 24.2N 44.9W. Time je Lorenzo postao najjači uragan u znanoj povijesti (podaci postoje od 1851. godine) formiran tako istočno na Atlantiku. Lorenzo je gotovo 1000 kilometara istočnije od uragana Isabel i Hugo koji su dosad držali taj rekord na Atlantiku. Lorenzo se kreće prema sjeverozapadnom dijelu Atlantika i sredinom tjedna bi trebao proći blizu Azora. Trenutne prognoze govore da bi tada Lorenzo bio uragan na granici prve i druge kategorije jakosti. Iako bi centar uragana trebao proći sjevernije od Azora, vrlo je vjerojatno da će, bez obzira na točnu putanju uragana Lorenzo postati jedan od najjačih uragana koji su pogodili Azore. Najjači uragan koji je direktno pogodio Azore je neimenovani uragan iz 1926. godine. Taj je uragan direktno pogodio otok Sao Miguel snagom druge kategorije jakosti. Krajem prvog tjedna listopada Lorenzo će nad sjeverozapadnim Atlantikom postati snažna post tropska oluja. Zasad je još neizvjesno hoće li direktno pogoditi obale sjeverozapadne Europe ili se uputiti dalje na sjever Atlantika.

Lorenzo je drugi ovogodišnji atlantski uragan pete kategorije. Prvi je bio čuveni Dorian koji je početkom rujna devastirao dijelove Bahama. Time je 2019. godina postala tek sedma godina s 2 ili više uragana pete kategorije na Atlantiku (od 1851. godine). Više od dva uragana pete kategorije je formirano samo čuvene 2005. godine (njih čak 4 – Emily, Katrina, Rita i Wilma). U zadnje 4 godine (2016.-2019.) formirano je 6 uragana pete kategorije na Atlantiku. Tom nizu je prethodio niz od sedam uzastopnih godina (2008.-2015.) u kojima nije formiran niti jedan takav uragan. Ukoliko Lorenzo direktno ne pogodi kopno snagom uragana (a trenutno su takve prognoze) bit će to prvi atlantski uragan pete kategorije koji nije snagom uragana pogodio kopno odnosno neki otok.





