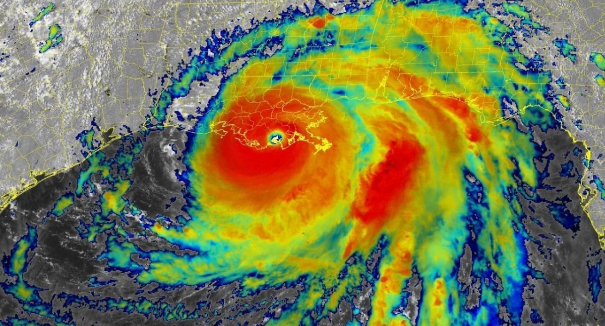
Uragan Ida pogodio je u nedjelju američku državu Louisianu, jugozapadno od New Orleansa, kao uragan 4. stupnja, objavio je Nacionalni centar za uragane u Miamiju.
Donio je sa sobom maksimalne vjetrove od oko 240 kilometara na sat kada je pogodio obalu nakon prelaska Meksičkog zaljeva, dodao je NHC.
https://www.facebook.com/NWSNHC/videos/2144472809028266
Uragani takve snage, jedan stupanj manje od najviše, obično uzrokuju katastrofalne posljedice, dodaje NHC, upozoravajući na visoku plimu i moguće poplave, prenosi Index.
Ida je pogodila obalu u blizini Fort Fourchona, šesnaest godina nakon uragana Katrina koji je devastirao to područje na jugu SAD-a.
Before and after security camera footage from Fire Station #12 in Delacroix within a 1 hour time span. #idahurricane #HurricaneIda #Hurricane #Category4 pic.twitter.com/9PL8V9KySA
— St. Bernard Parish (@StBGov) August 29, 2021
Part of a roof blew off during #HurricaneIda in New Orleans and snapped a traffic light in half. @foxnews #foxnews #ida #hurricane #lawx #neworleans #Hurricane_Ida pic.twitter.com/VFjHRgza2K
— Jeff Paul (@Jeff_Paul) August 29, 2021
Sada je više od 200 tisuća ljudi bez struje, javlja poweroutage.us.
Oko 73 tisuće ljudi ostalo je bez struje u proteklih pola sata.





