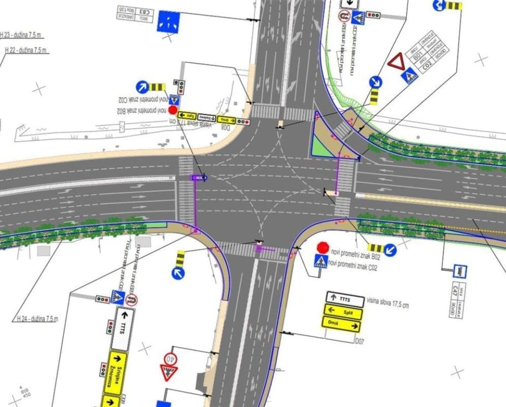
Proteklog ponedjeljka nastavljeni su radovi na južnom dijelu križanja na DC8 u Stobreču.
Izvođač radova je Tvrtka Strabag d.o.o. dok usluge kompletnog nadzora pruža Terestrika d.o.o. iz Splita. Ukupna vrijednost radova iznosi 862.505,58 eura, dok je rok za završetak svih radova 15. srpnja 2024. godine.
Na južnom dijelu križanja se dograđuju dvije trake za desne skretače, uređuju nogostupi, rasvjeta, zelene površine.
Raskrižje kod skretanja za Stobreč i TTTS jedno je od najprometnijih u zemlji, a upravo je tu često nastajalo "usko grlo". U rujnu prošle godine završio je prvi dio rekonstrukcije raskrižja kod TTTS-a, odnosno skretanja za Stobreč, a radovi su trajali punih šest mjeseci.
Evo što o nastavku rekonstrukcije ceste kaže Hrvoje Drmić iz ureda Hrvatskih cesta koje su investitor:
"Projekt obuhvaća dodavanje traka za desne skretače u smjeru iz Splita u Stobreč, iz Stobreča u Omiš te iz Omiša na TTTS. Traka na sjeveru iz Omiša na TTTS je već izvedena, i sada su stekli uvjeti da se radovi nastave i na jugu što je započeti ovaj tjedan, s rokom završetka svih radova do 15. srpnja. Dakle, izvođač ima pet i pol mjeseci za završiti projekt", kaže.
"Sada smo u kontaktu s Gradom i vlasnicima parcela, to se zahuktava", rekao nam je.
Donosimo frišku foto galeriju radova:




