Što se bijeli na šetnici ispod Lavice u Podstrani, preciznije Bunju i Podbunju? Bijeli se kamen nasut i naguran u more. Bageri veliki i mali "Građevno zec" kašu sike, siču se privatni borovi nad šetnicom. Sve što smeta građevinskim radovima. Čini se kao tipična predsezonska betonizacija dalmatinske obale. Javljaju se čuvari prirode, zabrinuti građani. Ništa neće biti kao prije, roje se misli.

Bagerom na privatnu zelenu površinu
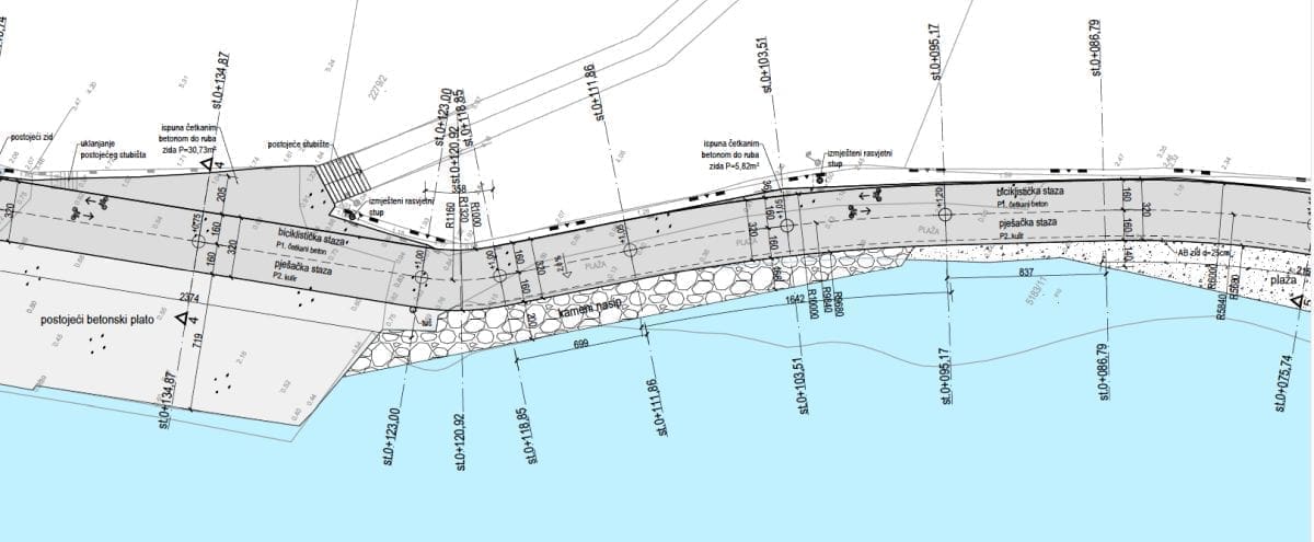
Neslužbeno, proširuje se postojeća šetnica na nešto više od tri metra od obalnog zida. A onda će se dotrat iz Planog pijesak, granulacija 2, 3. Bit će i prije sezone plaža duža, šira, plića, bijelja i mekša. Podstrana bit će veća.
Saznali smo zato od Dražena Vlašića, suvlasnika parcele s borovima zapadno od apartmana Lavice, kako su mu posječeni, uništeni desetak borova. Vjerojatno su smetali kamionima i bagerima pristup gradilištu koje nema nikakvu tabelu s imenima investitora, izvođačima, građevinskom dozvolom i svim tim lipim stvarima. Ljudi prolaze uz bagere i kamione. Evo što kaže Vlašić, inače sudski vještak agronomije:
- Parcela na kojoj su posječeni borovi je zaštićena kao zelena zona i zbog njene konfiguracije terena štiti od odronjavanja i narušavanja šetnice i plaže. Svi ti borovi egzistiraju tu nekih 90 godina, od kad znam za sebe. Nikome nisu predstavljali problem.

Policija na uviđaju
Kada želite otkloniti nešto što ugrožava živote onda angažirate nekog tko je stručan. Potrefilo se da sam sudski vještak za agronomiju. Onda komunalni redar piše dopis vlasniku i kaže: "Molim vas na osnovu stručnog mišljenja vještaka agronomije vaš bor, vaš, hrast ili smokva ugrožava promet, prolaznike. Molim vas da u roku tom i tom uklonite stablo o svom trošku ili ćemo to učiniti sami i ispostaviti vam račun." Ovdje imamo situaciju da je netko samovlasno na privatnoj imovini koja je definirana u prostornim planovima kao zaštitna zelena zona maćehinski posjekao nekih 10-tak borova - kazao je Vlašić i dodao kako se obratio Općini, policija izašla na uviđaj i kako će se angažirati Građevinska inspekcija Državnog inspektorata i DORH zbog krivičnog djela.
Ujedno smatra kako je ovakav pristup uređenja obale "pucanje u nogu" turizmu od kojeg živimo.
- Naši gosti imaju i veće kuće i veće televizore, ali nemaju miris mora i miris borove šume uz more. I sad je netko odlučio posjeći borove bez ikakve emocije - žali se Vlašić.
Šetnica od Mutograsa do Strožanca
Načelnik Podstrane Mijo Dropuljić ima sasvim drugačiji pogled nad aktualna događanja uz obalu. Kaže kako se ne radi o radovima koji zahtijevaju građevinsku dozvolu, već se obala sanira te da je to dobra stvar za cijelu Podstranu. Priču o siječi borova nazvao je pomalo napuhanom i izvan proporcija.
"U posljednjih dvije godine Općina Podstrana je uložila značajna sredstva i napor u sanaciju i očuvanje obalne šetnice kroz cijelo mjesto, od naselja Mutogras do Strožanca, čime se nastojalo osigurati prije svega sigurno i slobodno korištenje te javne površine na zadovoljstvo svih naših građana.
Kako se radi o radovima za koje temeljem prethodno ishođenog mišljenja nadležnog upravnog odjela nije potrebno ishoditi akt za gradnju (građevinsku dozvolu) izvođenju radova smo pristupili temeljem izrađene tehničke dokumentacije za sanaciju sukladno pravilniku o jednostavnim i drugim radovima i građevinama…

Dotrajalo stablo
U konkretnom slučaju prijava građana je upućena zbog oštećenja stabla, točnije bora koji se uslijed nepropisnog održavanja vlasnika zemljišta protegao dijelom iznad šetnice te je bio u evidentno dotrajalom stanju. Prilikom izvođenja radova, uslijed rukovanja opremom i strojevima, izvođač radova, je očito nenamjerno zahvatio neku od grana, što je ponukalo vlasnika susjednog zemljišta da pošalje novinarski upit, odnosno prijavu medijima. Iz cijele situacija, koja je pomalo napuhana izvan proporcija, možemo zaključiti da je pojedincima težnja za privlačenjem pozornosti i privatni interes ipak prije svega, odnosno puno važniji javnoga i općeg dobra, nažalost…
Mislim da će se velika većina građana složiti da je ovo što radimo dobra stvar za cijeli Podstranu koja značajni dio godine vapi za dodatnim turističkim sadržajima i kapacitetima, uzimajući u obzir da je postojeća plaža na jako puno mjesta oštećena i devastirana te kao takva nije sigurna za korištenje.
Novi dnevni boravak
Izvođenjem radova sanacije, osim navedenih sigurnosnih razloga, imali smo za cilj i stvaranje novog "dnevnog boravka" za sve naše građane, koji će moći uživati u mediteranskom ambijentu i ugodnoj šetnji uz more tijekom cijele godine sa svojim obiteljima.
Nadam se da smo ovim očitovanjem otklonili bilo kakvu sumnju u naše dobre namjere, ako je iste uopće i bilo kod naših građana, a uvijek će nažalost biti i onih koji su apriori protiv svega što se radi pa bilo to i u zajedničkom cilju na dobrobit svih, i to se najčešće radi o već poznatim prijaviteljima i slučajevima", zaključio je Dropuljić i priložio nacrte sanacije i fotografije morem oštećene šetnice.





