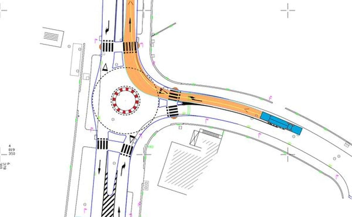
U tijeku su radovi na izgradnji novog rotora na križanju Puta Pazdigrada i Lovrinačke ulice, izvijestio je Gradski kotar Žnjan. Radovi će se izvoditi u četiri faze.
"Dragi sugrađani,
Obavještavamo vas da su u tijeku radovi na izgradnji novog rotora na križanju Puta Pazdigrada i Lovrinačke ulice. Trenutno se izvode radovi proširenja kolnika na temelju geodetske podloge, nakon čega će se postaviti rubnjaci i definirati konture same lokacije.
Radovi će se izvoditi u 4 faze, tijekom kojih će se formirati kružnica i otoci. U trećoj fazi privremene regulacije, promet će biti kružnog sistema. Samo zatvaranje prometnice, o čemu ćemo vas pravovremeno obavijestiti, obavit će se prilikom asfaltiranja završnog sloja.
Također izvođač će riješiti i kritičnu točku 50m južno od predviđenog rotora na križanju Puta sv. Lovre i Lovrinačke ulice.
Radovi bi trebali biti gotovi do 31.10.2024. godine.
Ovaj projekt je rezultat dugogodišnjeg zahtjeva stanovnika našeg kotara s ciljem poboljšanja prometne situacije zbog:
- Svakodnevnih gužvi prilikom lijevog skretanja iz Puta Pazdigrada u Lovrinačku
- Opasnosti za pješake, posebno školarce koji na tom mjestu prelaze ulicu
- Učestalih prometnih nesreća uzrokovanih neprilagođenom brzinom pri lijevom skretanju iz Lovrinačke u Put Pazdigrada
Prošle godine je kotarsko vijeće, u konzultaciji s Odsjekom za promet i komunalno održavanje Grada Splita, naručilo izradu projektnog elaborata za rotor "Lovrinačka" temeljem kojeg je Grad Split ove godine krenuo s realizacijom.
Izvođač radova je CESTAR d.o.o. Split.
Zahvaljujemo se Gradu Splitu na realizaciji ovog značajnog projekta!
Molimo sve sudionike u prometu za dodatni oprez, strpljenje i razumijevanje tijekom trajanja radova.", stoji na Facebook stranici kotara.




